NJ Fishing Advertise Here at New Jersey's Number 1 Fishing Website!


Message Board


Down Deep - 10/9 Excellent Jumbo Seabass & assorted bottom dwellers - NJFishing.com Your Best Online Source for Fishing Information in New Jersey


Message Board Registration       FAQ

Go Back   NJFishing.com Your Best Online Source for Fishing Information in New Jersey > NJFishing.com Salt Water Fishing
FAQ Members List Calendar

NJFishing.com Salt Water Fishing Use this board to post all general salt water fishing information. Please use the appropriate boards below for all other information. General information about sailing times, charter availability and open boats trips can be found and should be posted in the open boat forum.

 
 
Thread Tools Display Modes
Prev Previous Post   Next Post Next
  #1  
Old 10-09-2018, 11:16 AM
Down Deep Sportfishing's Avatar
Down Deep Sportfishing Down Deep Sportfishing is offline
Site Sponsor
 
Join Date: Aug 2012
Posts: 2,476
Arrow Down Deep - 10/9 Excellent Jumbo Seabass & assorted bottom dwellers

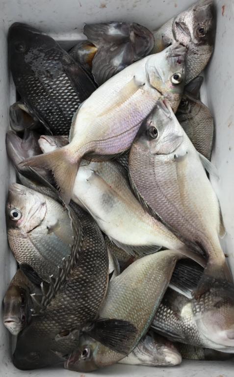
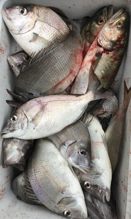
Today aboard the Down Deep we ran our first Fall 2018 Jumbo Seabass trip with a great bunch of guys. Everyone got what they came for long before this post along with other tasty mixed bag bottom dwellers. The crew are all smiles and the knife is in overdrive. The crew left heavy and happy with their bags of iced fillets, all done before the dock lines came tight. Don’t miss the next open boat trips! Thanks everyone for sailing with us and all others who continue to book all their Fall 2018 Jumbo Striped Bass, Seabass, Tog, Porgy & mixed bag bottom dweller trips going forward at a rapid pace. Book now and get your personal best !


Don’t miss the next open boat trips -



THURSDAY OCT. 11 - 6 AM JUMBO STRIPED BASS + TAGS - FEW SPOTS REMAIN

***** TUESDAY OCT. 16 - 6 AM SPECIAL JUMBO SEABASS - FEW SPOTS REMAIN

TUESDAY OCT. 23 - 6 AM JUMBO STRIPED BASS + TAGS - FEW SPOTS REMAIN


CLICK ON DOWN DEEP BULL FOR OUR SCHEDULES



DON'T FORGET TO ASK OUR CREWS FOR YOUR TICKET TO WIN FREE TRIPS ABOARD BOTH BOATS.

JUST OTHER WAYS WE SHOW OUR THANKS BESIDES SAYING IT










ALL BAIT, BASIC TACKLE, ICE, RODS, KEURIG COFFEE & BOTTLED WATER PROVIDED.

Come out, load up, book now. Don't delay, BOOK STRIPERS, SEABASS & TOG CHARTERS NOW!

Attached Thumbnails
Click image for larger version

Name:	D65D35B6-4626-415D-B8B3-8E7F0C1CD4A9.jpg
Views:	273
Size:	74.9 KB
ID:	128576   Click image for larger version

Name:	238164EB-4E6C-4180-906A-39DFE56A353D.jpg
Views:	244
Size:	64.4 KB
ID:	128577   Click image for larger version

Name:	C1E511FE-A87F-4350-9043-931846AA0B1E.jpeg
Views:	273
Size:	277.6 KB
ID:	128578   Click image for larger version

Name:	379476B1-7B5D-4E87-B3DB-764C70B7FB9C.jpg
Views:	238
Size:	61.4 KB
ID:	128579   Click image for larger version

Name:	2CCE47D8-997D-480E-BDCB-3F563BAF6D0F.jpeg
Views:	286
Size:	194.0 KB
ID:	128580  

Click image for larger version

Name:	9C612B0B-AFDB-441F-86E1-5AB6F71F8264.jpg
Views:	291
Size:	66.9 KB
ID:	128581   Click image for larger version

Name:	DE7513A9-3FA8-4DA8-A49F-5EBA9488BE1A.jpeg
Views:	200
Size:	130.3 KB
ID:	128582  
__________________
THE DOWN DEEP BULL

40' RP WILLIS BEAL


USCG CERTIFIED 1 - 15 PASSENGERS

HUGE 18 X 16 COCKPIT / HEAT / AIR CONDITIONED
IMMACULATE CABIN & RESTROOM


Down Deep Sportfishing
Harbor View Marina
165 - West Front Street
Keyport, N.J. 07735


Capt. Mario - 609-827-1232

Available Dates & Reservations - 609-689-8631

1 GOAL - 2 CAPTAINS - 3 MATES - 4 EXCELLENT TRIPS - 5 STAR SERVICE

www.downdeepsportfishing.com

Last edited by Down Deep Sportfishing; 10-09-2018 at 04:42 PM..
Reply With Quote
 



Posting Rules
You may not post new threads
You may not post replies
You may not post attachments
You may not edit your posts

BB code is On
Smilies are On
[IMG] code is On
HTML code is Off

Forum Jump


All times are GMT -4. The time now is 12:05 PM.


Powered by vBulletin® Version 3.8.7
Copyright ©2000 - 2025, vBulletin Solutions, Inc.